【摘要】上海貴衣縫紉設備有限公司擬對北宿舍樓進行加層,需對北宿舍樓進行抗震鑒定。本報告對該建筑物的相對傾斜值、不均勻沉降、砌體砂漿強度、混凝土構件強度、構件尺寸與配筋等進行了計算及復核,羅列了無法滿足現行規范的抗震構造,并對結構建立計算分析模型,復核加層后樓房的抗震能力,為后續加固改造提供了有效支撐。
1.檢測概述
上海貴衣縫紉設備有限公司北宿舍樓,建于 2004年,為三層磚混結構房屋。目前,業主擬對該樓進行加層,特委托本站對該房屋進行抗震鑒定,為房屋擴建提供必要技術依據,確保改造后房屋結構達到 7度抗震設防要求。
1.1 檢測鑒定的范圍
上海貴衣縫紉設備有限公司北宿舍樓,總建筑面積 1453.5 m2。房屋概貌及內部使用現狀參見圖 1-2。


1.2主要工作內容
本次檢測鑒定主要工作內容包括:
1、對該建筑的建筑、結構平面布置情況進行核查;
2、對該建筑的結構開裂、破損等完損情況進行檢測;
3、對該建筑的沉降、傾斜等結構變形進行測量;
4、對該建筑的主要受力結構構件進行材料強度檢測;
5、根據現場檢測數據,對整體建筑進行結構計算分析和承載能力校核;
6、編制鑒定報告,提出抗震鑒定結論,并對可能需要進行的結構加固提出合理的處理意見;
2.房屋概況
上海貴衣縫紉設備有限公司北宿舍樓平面呈矩形,長 44.4m,寬 11.4m,共三層,層高均為 2.8m,房屋室內外高差為 0.45m。房屋原設計作為宿舍樓使用,此次檢測前未改變使用用途。原建筑基本概況見表 2-1,原二層建筑及結構平面圖見圖 2-2~4。
該房屋為磚混結構房屋,承重墻體采用粉煤灰多孔磚混合砂漿砌筑,樓(屋)蓋采用現澆鋼筋混凝土板。基礎采用鋼筋混凝土條形基礎,基礎埋深 -2.45m。原設計梁、柱混凝土強度: C25;磚強度:墻基 MU15,一層 ~三層 MU10;砂漿強度:一層 ~二層 M10,三層 M7.5。原設計地基承載力設計值為 95kPa。地下水位 -0.5m。
業主擬對現有宿舍北樓加建一層。改造方案詳見 2-5。


3.現場檢測情況
3.1現場完損檢測
檢測人員對結構軸線尺寸及構造柱、墻體的砌筑與圈梁布置情況進行了檢測,現場實測結果與原設計圖吻合較好。混凝土構件鋼筋配置亦與原結構設計圖紙資料相符。
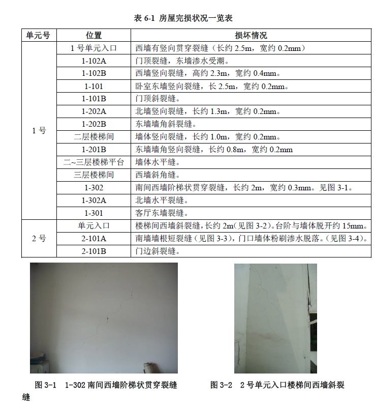
被檢測房屋外墻外粉刷龜裂現象較普遍,室內墻面墻體亦有開裂情況,大部分為墻體材料自身收縮或溫度應力引起,裂縫詳細情況見表 6-1。

3.2結構尺寸與材料配筋復核
3.3.1混凝土強度及碳化測試
現場檢測采用砼回彈儀,對主要混凝土結構構件進行混凝土強度檢測,同時根據測定的混凝土碳化深度;綜合評定結構構件混凝土強度評定為 C25。
3.3.2砂漿強度測試
現場檢測采用 ZC5砂漿回彈儀,對砌體砂漿強度進行了檢測,一層 ~二層砂漿強度評定為 M7.8,三層砂漿強度評定為 M5.3。
3.3.3磚強度測試
現場檢測發現,承重墻磚采用粉煤灰多孔磚,因其強度無法使用磚回彈儀測試,故計算時按照原設計強度取值。
3.4建筑物傾斜和差異沉降檢測
為了解房屋的整體傾斜情況及傾斜對本建筑的結構受力的不利影響,本次檢測中采用 J2型經緯儀、鋼直尺,按照變形測量中經緯儀投點法的有關規定,測定建筑物外墻頂點相對底部的偏移值(即建筑物傾斜量),對房屋四角的可測棱線進行了測量(含施工誤差),測點位置及測量所得豎向相對傾斜值如圖 3-5所示。從測量結果看,房屋昀大傾斜率為 2.0‰,未超過《建筑地基基礎設計規范》(GB50007-2002)關于該高度范圍內建筑結構相對傾斜率 4‰的參考值。我們認為被檢測房屋的整體傾斜狀況對結構未產生明顯影響。


為掌握房屋的不均勻沉降情況,了解建筑沉降因素對結構安全造成的不利影響程度,檢測人員對該建筑的相對沉降情況進行了測量,檢測結果見圖 3-6。通過檢測數據可以看出:該樓未發現明顯的由不均勻沉降引起的墻體及梁柱結構開裂損傷情況,因此可以認為建筑物沉降變形未對結構產生明顯影響。
4.結構驗算分析
根據建筑結構圖紙,結合現場檢測資料,采用中國建筑科學研究院研制的 PK-PM系列軟件砌體結構輔助設計,對現有結構在現有使用狀態下進行建模計算分析,考慮雙向地震作用。
4.1結構驗算
4.1.1計算依據
甲方提供的原房屋建筑、結構圖;
國家及上海地區有關工程建設規范。
計算采用結構計算軟件 PKPM系列軟件(2008版)。
4.1.2計算輸入條件
①恒載(標準值):按圖紙計算或按荷載規范進行取值
②活載(標準值) :屋面活載(不上人):0.5kN/m2樓面活載:2.0kN/m2走道活載:2.5kN/m2
③風載: 基本風壓值: 0.55kN/m2 (地面粗糙度:B類)
④地震荷載: 抗震設防烈度 7度;基本地震加速度值 0.1g;地震分組第一組,計算時考慮水平地震作用。
⑤結構材料等級:
磚強度等級:按照原設計取 MU10;
砂漿強度等級:按照實測取值;
混凝土標號采用 C25;
4.1.3驗算結果:
經驗算,現有房屋上部結構加層改造后抗震承載力及墻體抗壓承載力均滿足規范要求。
4.2綜合分析
①計算情況:
經計算分析,加層后房屋上部結構總重量設計值為 34990kN,基礎總面積為
528.73㎡,考慮覆土重量后,基底應力達 119kPa,大于原設計地基承載力設計
值 95kPa,因此加層后地基承載力不滿足要求。上部結構加層改造后抗震承載力及墻體抗壓承載力均滿足規范要求。
②檢測情況分析:
北樓未見明顯結構損傷。
4.3抗震構造分析
按《建筑抗震設計規范》對北宿舍樓按擬改造方案進行抗震構造措施鑒定。

5.結論及處理意見
5. 1結論
按擬加層方案,本次現有受檢北樓房屋結構,經結構驗算、分析,不符合上海地區抗震設防烈度 7度的要求。房屋結構須按本報告提出的處理意見經抗震加固后,方能滿足 7度抗震設防要求。
5.2處理意見
根據現場檢測及結構驗算分析結果,建議采取以下處理措施:
1 )對砌體墻段的局部尺寸較小部位,建議采取增設構造柱或采用雙面鋼絲網水泥砂漿面層等加固措施;
2 )對于在墻體轉角處的轉角窗,可增設構造柱加固;
3 )對于房屋構造柱設置部位、數量不滿足要求處,應按規范要求補充設置構造柱;
4 )構造柱和墻體拉結措施不滿足抗震鑒定要求之處(包括樓梯間),可采用鋼筋網水泥砂漿加固以增強拉結;
5 )各層樓梯休息平臺處墻體應增設鋼筋混凝土帶;
6 )對由溫差等引起墻體收縮裂縫可作常規修補;
7 )應該對該房屋地基基礎進行加固;
8 )本次房屋改擴建,建議在施工過程中及今后長期使用過程中應對房屋進行定期沉降觀測,為房屋維護提供依據,發現問題及時處理;
對結構加固施工,建議應選擇具有工程結構加固專項資質、且具有類似工程豐富施工經驗的施工單位,在制定好合理施工方案后進行。